01.
The LAND
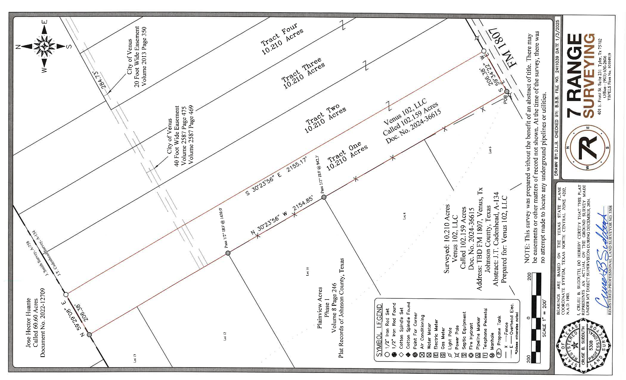
Four 10.21 acre homesites in growing Venus, Texas.
02.
THe Vision
We are developing deed restrictions, city water is available and sewer is to be determined.
03.
AVailability
Update: Lot 2 is under contract. Lots 1, 3 and 4 are available at $500,000 each

10.21 Acre homesites
Each lot is approximately 200′ of frontage on FM 1807 and a depth of more than 2150′
asdfasdfsadf
asl;dkjfasldjf;

About me
My name is Brian Scott.
I have been a full time commercial real estate broker in DFW for over 35 years. I also sell land for subdivisions. I am the owner and broker for Landmark Commercial, hold engineering and MBA degrees from Texas Tech University and a Certified Commercial Investment Member designation.
Please feel free to call me on my cell phone at 817-721-6009. I can also be reached via email at bscott@landmk.com


Deed restrictions
xxxx
Frequently Asked Questions
details
details
The owners are very experienced residential developers and they are very comfortable working with cities and engineers to make sure to deliver a quality site.
The
xxx